Działka na sprzedaż Białe Błota, Lisi Ogon

3492.00 m²
472,22 zł/m2
OJN-GS-125301

1 649 000 zł

Działka na sprzedaż
Nowa oferta

Szczegóły oferty

Symbol oferty OJN-GS-125301
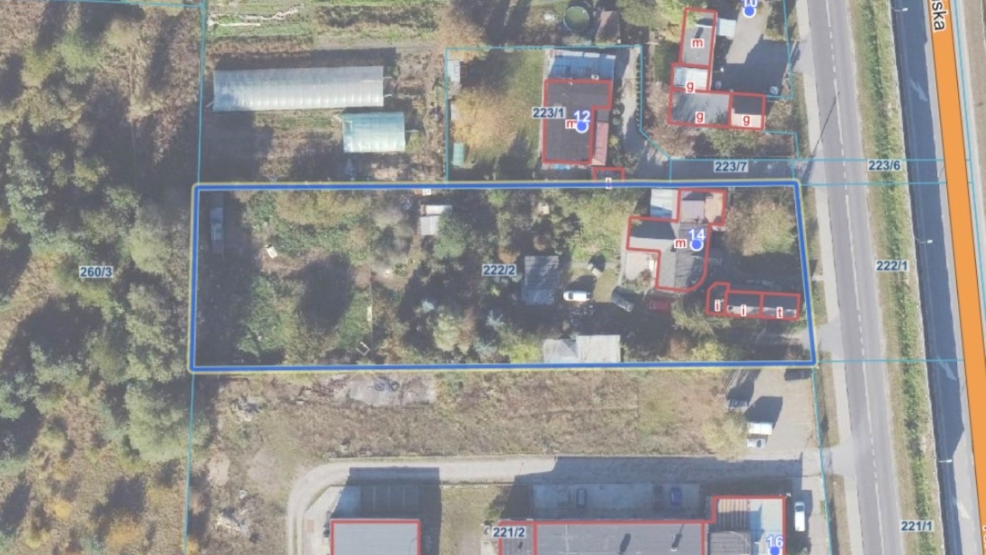
Powierzchnia 3 492,00 m²
Przeznaczenie działki budowlana, inwestycyjna
Wymiary działki 32x107 m
Zagosp. działki zagospodarowana
Ukształtowanie działki PROSTOKĄT
Kształt działki prostokąt
Ogrodzenie działki ogrodzona
Gaz jest
Woda tak
Dojazd ASFALTOWA
Otoczenie działki zabudowane
Prąd jest
Kanalizacja tak

Opis nieruchomości

Ogłoszenie Sprzedaży Działki – Lisi Ogon
 

Na sprzedaż działka inwestycyjna – Lisi Ogon | 3492 m² | przy drodze asfaltowej | blisko S10

Na sprzedaż atrakcyjna działka o powierzchni 3492 m², położona w miejscowości Lisi Ogon – świetna lokalizacja zarówno pod inwestycję, jak i zabudowę usługową lub mieszkaniową.

Najważniejsze atuty nieruchomości:

Powierzchnia: 3492 m²
Cena: 1 649 000 zł
Działka objęta planem miejscowym oraz posiada warunki zabudowy
Dojazd drogą asfaltową
Bezpośrednia bliskość wylotu na drogę ekspresową S10 – doskonała komunikacja
Dogodna lokalizacja – szybki dojazd do Bydgoszczy i okolic

Działka idealna pod inwestycję – dzięki swojej lokalizacji przy jednej z głównych tras oraz pełnej dokumentacji planistycznej daje szerokie możliwości zagospodarowania.

Parametry zabudowy (MPZP):

Maksymalna wysokość zabudowy: 25 m (z wyłączeniem budynków biurowo-socjalnych)
Dopuszcza się realizację urządzeń technologicznych związanych z podstawowym wykorzystaniem terenu
Możliwość budowy budynków biurowo–socjalnych do 3 kondygnacji nadziemnych i do 12 m wysokości
Dachy o nachyleniu od 1,5° do 45°
Uciążliwość działalności nie może wykraczać poza granice działki (z wyjątkiem inwestycji celu publicznego z zakresu łączności publicznej)
Minimalna powierzchnia nowo wydzielanych działek: 0,1 ha
Minimum 10% powierzchni biologicznie czynnej
Powierzchnia zabudowy do 90% powierzchni działki/terenu
Wskaźnik intensywności zabudowy: 0,1 – 2,5

Lokalizacja:
Lisi Ogon to dynamicznie rozwijająca się miejscowość w pobliżu Bydgoszczy. Bliskość trasy S10 zapewnia świetne połączenie zarówno dla ruchu lokalnego, jak i tranzytowego.

Cena: 1 649 000 zł
(Do negocjacji)

Zapraszam do kontaktu w celu uzyskania dodatkowych informacji oraz umówienia prezentacji!

Lokalizacja nieruchomości

Proszę wprowadzić poprawne imię i nazwisko
Proszę wprowadzić poprawny numer telefonu
Proszę wprowadzić poprawny adres e-mail
Proszę zaznaczyć wymagane zgody
Rozwiąż równanie:
10 5
Niepoprawny wynik